X
 14.10.2017 Живот

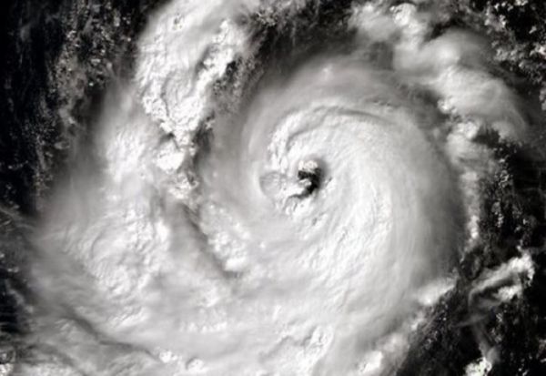
Ураганот „Офелија“ е првиот што ќе ја погоди Европа после 56 години

ofelija

Научниците очекуваат ураганот „Офелија“ овој викенд да стигне до Азорските Острови во Португалија, а следната недела до ирскиот и британскиот брег.

Ова е десетти последователен ураган што бил создаден во Атлантикот оваа година, а вакво нешто не се случило од 1983 година. Но се чини дека „Офелија“ ќе собори уште еден рекорд. Имено, метеоролозите предвидуваат дека станува збор за првиот ураган што ќе стигне до Европа од 1961 година.

Досега бреговите на Португалија и Шпанија биле погодени само од два тропски циклони: преминувањето на ураганот во тропски циклон во октомври 1842 година, и ураганот „Винс“ како тропска депресија во октомври 2005 година.

Се предвидува дека ураганот Офелија ќе дојде до Ирска на почетокот на наредната недела, а ќе го следат ветрови со брзина од 110 километри на час.
Подготвил: Тамара Гроздановски

Издвојуваме

Слични вести од Fakulteti.mk

Живот